Skip To Content

859 E Hwy , #78

Brawley, CA 92227
  • $320,000
  • STATUS: Closed
  • ON SITE: 255 Days
  • MLS #: 25555891IC
Sold - 08/29/2025
$320,000
SOLD - 08/29/2025
  • 0
    BEDS
  • 9.75
    ACRES
  • 0
    BATHS
  • 0
    1/2 BATHS
Neighborhood:
Type:
Vacant Land / Lots
County:
Area:

School Ratings & Info

Description

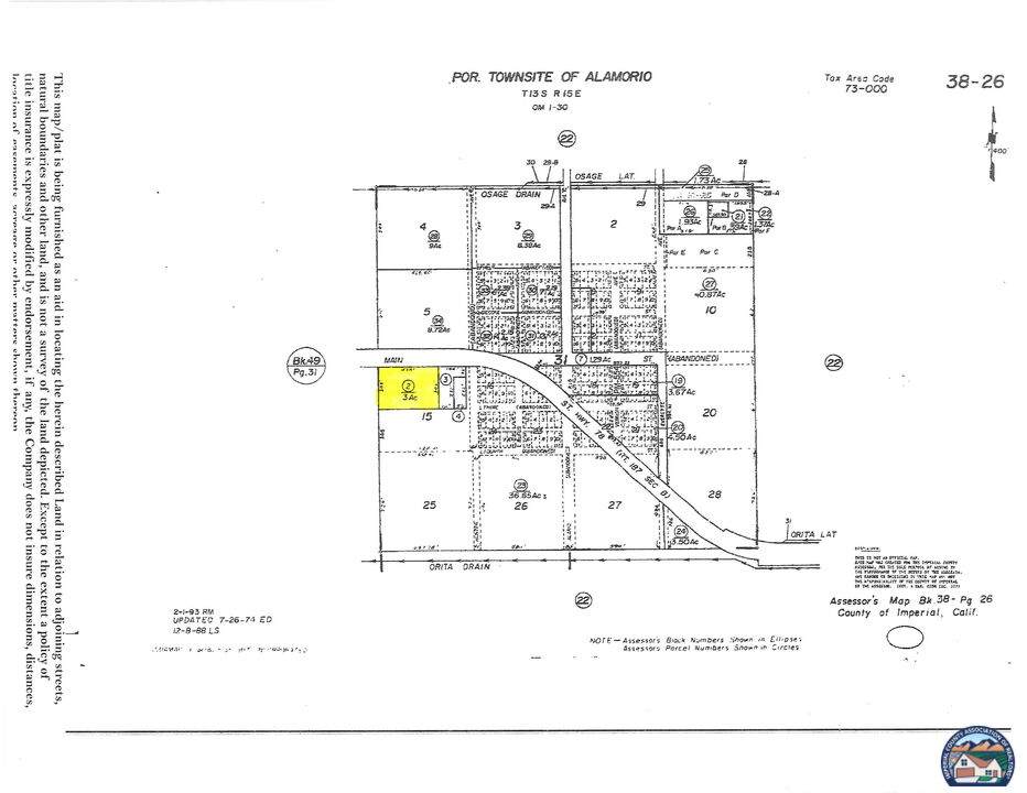
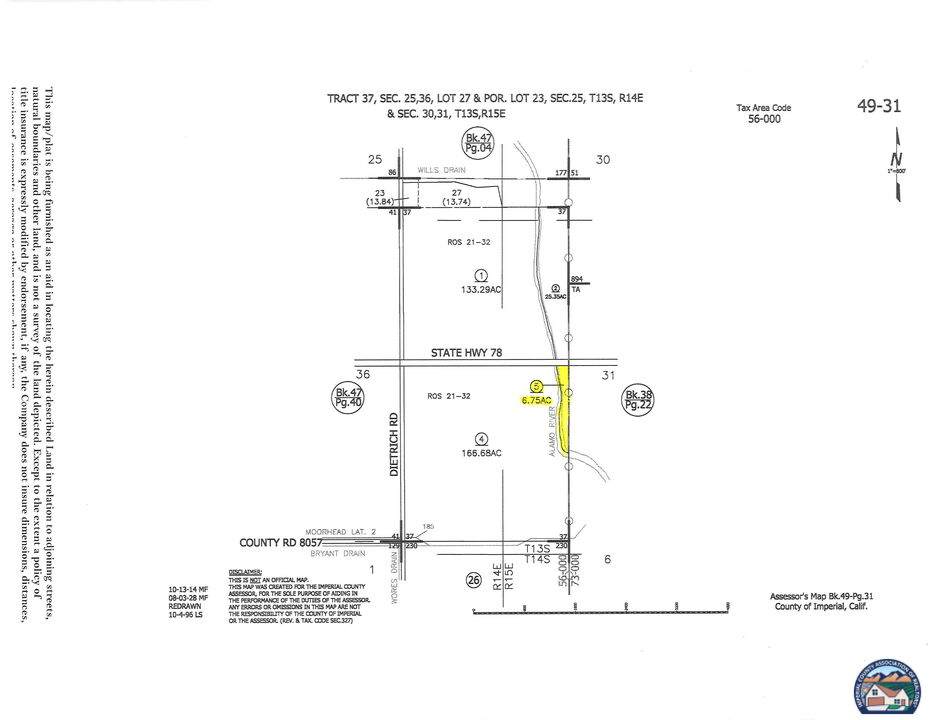
Just under 10 acres located East of the City of Brawley. This property has 3 acres zoned M1 for Light Industrial Uses and 6.75 acres zoned A2. Both of these zonings offer a multitude of allowable uses to the Farming Community as well as the Desert Enthusiast with lots of toys. Come and take a look at this property and see what it can be for you...

Monthly Payment Calculator



© 2026 Imperial County Association of Realtors. All rights reserved. IDX information is provided exclusively for consumers' personal, non-commercial use and may not be used for any purpose other than to identify prospective properties consumers may be interested in purchasing. Information is deemed reliable but is not guaranteed accurate by the MLS or DMA Real Estate. Data last updated: 2026-03-06T06:40:11.25.
www.dmahouses.com/homes/165189906
Print Image

859 E Hwy , #78 Brawley, CA 92227

  • Price: $350,000
  • Status: Closed
  • On Site: 255 Days
  • Updated: 46 min ago
  • MLS #: 25555891IC
0
Beds
0
Baths
0
½ Baths
9.75
Acres
Neighborhood:
Townsite Of Alamorio
County:
Imperial
Area:
Brawley
Property Description
Just under 10 acres located East of the City of Brawley. This property has 3 acres zoned M1 for Light Industrial Uses and 6.75 acres zoned A2. Both of these zonings offer a multitude of allowable uses to the Farming Community as well as the Desert Enthusiast with lots of toys. Come and take a look at this property and see what it can be for you...
Exterior Features

Lot Description Fenced Yard Site Decription Rural Topography Flat

Property Features

Crops None Curb Gutters YN No Disclosures As Is Electric On Site Fence Chain Link Gas None Land Lease Type Fee Reports On File None Sale Or Lease Sale Sale Type Standard Sewer Septic Tank Special Zoning None Water IID Water District IID Water Well YN No

Listing courtesy of The Dahm Team, Real Estate Co.: 760-337-8600.


© 2026 Imperial County Association of Realtors. All rights reserved. IDX information is provided exclusively for consumers' personal, non-commercial use and may not be used for any purpose other than to identify prospective properties consumers may be interested in purchasing. Information is deemed reliable but is not guaranteed accurate by the MLS or DMA Real Estate. Data last updated: 2026-03-06T06:40:11.25.
 
https://bt-photos.global.ssl.fastly.net/imperial/orig_boomver_1_25555891IC-2.jpg https://bt-photos.global.ssl.fastly.net/imperial/orig_boomver_1_25555891IC-2.jpg https://bt-photos.global.ssl.fastly.net/imperial/orig_boomver_1_25555891IC-2.jpg
Logo
DMA Real Estate
502 W. Aten Rd. #101
Imperial CA, 92251